Een bezichtiging inplannen?
Contacteer de makelaar via nico@altro-vastgoed.be of +32488424224
Beschrijving
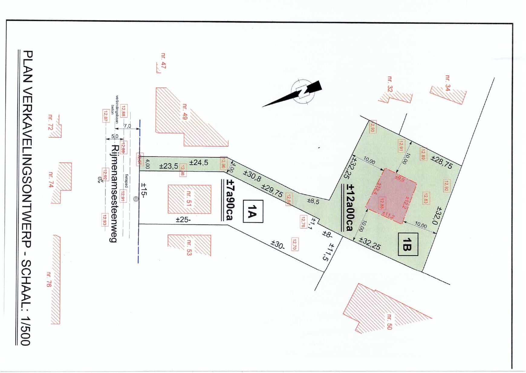
Deze bouwgrond voor open bebouwing ligt op slechts een steenworp van het centrum van Haacht (achterliggende bouwgrond aan de Rijmenamsesteenweg), maar biedt toch rust dankzij de ligging in een binnengebied. De privatieve oprit van ongeveer 53 m geeft toegang tot een perceel waar u de woning van uw dromen kunt realiseren. U kunt een woning bouwen met een maximaal vloeroppervlak van ongeveer 130 m² en een kroonlijsthoogte van maximaal 3,50 m. Daarnaast is er de mogelijkheid om een carport van maximaal 21 m² en een tuinberging van maximaal 12 m² te bouwen.

Komt in aanmerking voor afbraak en heropbouw - bouwen aan 6% BTW !!!!

Voor meer informatie over de voorschriften kunt u de details downloaden via www.altro-vastgoed.be.

U hebt een baksteen in de maag en wil spoedig starten aan uw droomwoning ? Dan kan dit de uwe worden, neem contact op met uw makelaar - nico@altro-vastgoed.be
Nico Di Taranto

Heb je interesse in deze bouwgrond?

Neem contact met ons op voor een bezichtiging of meer informatie.

Nico Di Taranto